
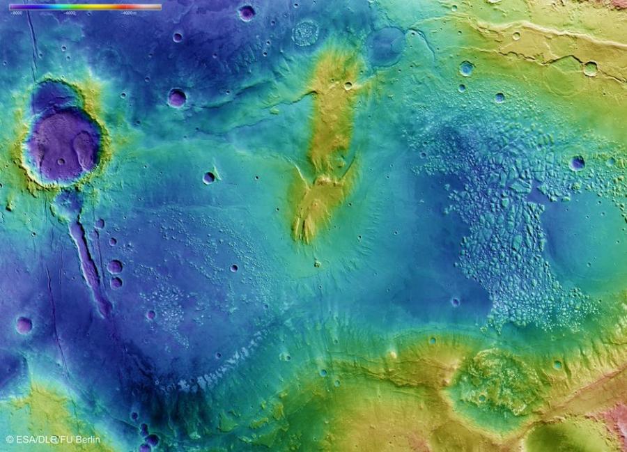
This colorful image is a topography map of a portion of the region known as Terra Sirenum, located in the southern hemisphere of Mars. The map is color-coded, with reds and whites representing the highest topography and blues and purples the lowest. The image shows a myriad of terrain types including cliffs, impact craters, channels carved into steep slopes, wrinkled ridges and scarps, which together reflect a rich geological history. Perhaps the most prominent feature is the portion of uneven chaotic terrain towards the center of the image. This is Atlantis Chaos, a lowland plain covering around 170 km by 145 km and containing a few hundred small peaks and flat-topped hills. They are thought to result from the slow erosion of a once-continuous solid plateau. (Photo/ The European Space Agency)







































